REQUEST A TOUR If you would like to see this home without being there in person, select the "Virtual Tour" option and your agent will contact you to discuss available opportunities.
In-PersonVirtual Tour

Listed by Araceli Gomez Gutierrez • NextHome D&G Realty Group
$ 167,000
Est. payment /mo
Active
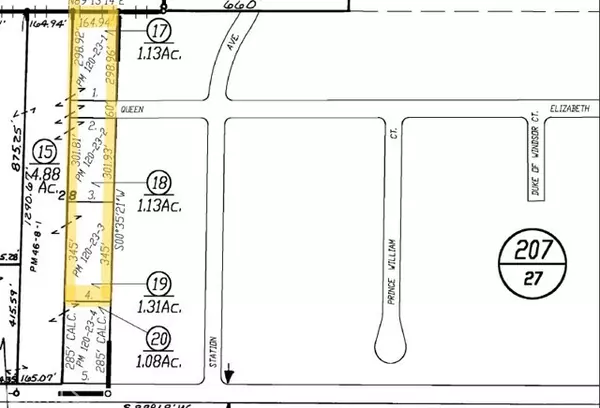
0 Queen Elizabeth Atwater, CA 95301
1.13 Acres Lot
UPDATED:
Key Details
Property Type Vacant Land
Sub Type Other Residential Land
Listing Status Active
Purchase Type For Sale
MLS Listing ID CRMC25247011
Lot Size 1.130 Acres
Property Sub-Type Other Residential Land
Source California Regional MLS
Property Description
Exceptional residential lot located in the highly desirable McSwain area-an ideal setting to create the home you've always envisioned. Sitting on just over an acre, this spacious parcel offers endless possibilities for your custom build, with plenty of room for a pool, shop, or outdoor entertaining space. Surrounded by beautiful, custom-built homes, the property provides a peaceful rural atmosphere while still being conveniently close to town, schools, and major commuter routes. Enjoy the best of both worlds-quiet country living with easy access to nearby amenities. Don't miss this rare opportunity to secure a prime piece of land in one of McSwain's most sought-after neighborhoods. The perfect canvas for your dream home awaits! This Property is being sold along with two other vacant lots.
Location
State CA
County Merced
Zoning LZ
Exterior
View Local/Neighborhood
Others
Tax ID 215010018000
Special Listing Condition Not Applicable

© 2025 MLSListings Inc. All rights reserved.




